微信扫一扫

7月12日
一个临海城市老地标重生的日子
01
城市更新
意味着新鲜血液的注入
也意味着旧时代的翻篇
对故乡的归属感
总是印证在一座又一座老建筑物上
今天的话题中心临海老客运站…
拆迁和土拍的关注度
被高涨的怀旧情绪一波又一波拉高
这座陪伴了临海人18年的城市地标
终于迎来了蜕变
一座崭新的城市综合体将在此诞生
拍卖开局第4轮就进入白热化阶段
出现了5000万的加价
第6轮更是加了1个亿
土豪们在前期根本不把100万竞价幅度放在眼里
1000万加价弹指一挥间
最后,经历164轮
这宗贴着老临海人“情怀”标签的地块
以6150元/㎡,溢价111.4%
成交价120100万元被宏大&华鸿嘉信
(临海宏满商务服务有限公司、台州嘉茂置业有限公司)拿下
地块现状实景
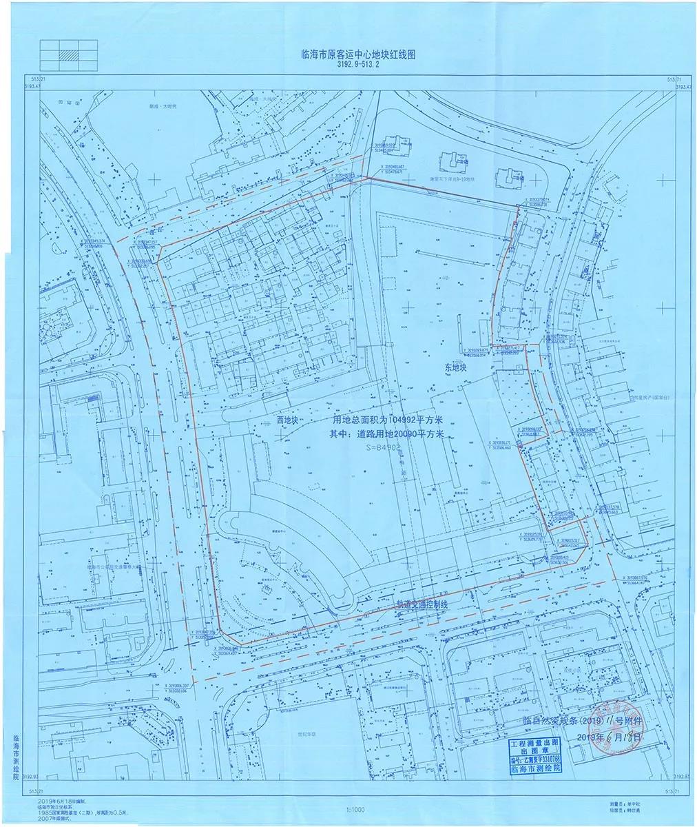
红线图
这是一个综合体地块
项目内容为:住宅、商业服务业
出让面积84902㎡(127.353亩)
地上建筑面积≤195275㎡
其中商业总建筑面积≤73000㎡
商业建筑面积中
65000㎡无偿返还给台运集团
1700㎡沿靖江路北段无偿返还给谢里王村
整个地块将要建设
高层住宅
多层集中式商业体
高层高端酒店商业
9班制幼儿园
3000㎡广场
等主要项目
代建幼儿园、广场、公厕1处、社区用房等
代建部分验收合格后无偿移交
广场位于地块西南角
对应地下部分不得设地下室
还须充分考虑与轨道交通站台和出入口的衔接
住宅方面
主出入口设在腊梅路
临靖江路高层住宅建筑≥60米
文件中没有明确说明是否需要装修交付
商业方面
返还给台运集团的6.5万方商业中
多层集中式商业建筑面积不少于3.5万方
(中庭建筑面积不少于700㎡)
高层商业面积3万方
商业整体布局在地块西南角
即靖江路与柏叶路转角处
多层集中商业地上建筑不超过四层
单层建筑面积不少于8000㎡
一二层裙房布置娱乐、零售、教育、餐饮等业态
三四层布置电影院和餐饮
电影院建筑面积不少于3500㎡
高层商业建筑高度不少于99米
其中1.5万方用来打造高端商务酒店
其余1.5万方设置娱乐、餐饮等商业配套
项目要在土地交付之日起6个月内开工
36个月内竣工
未来临海人民又多一个消费娱乐的好去处
地块区位示意图
直观上看
临海城区的发展思路是比较明确的
自从
银泰城、靖江路耀达百货、时代广场
等综合体商业开业以来
原先老城区崇和门的商业功能
已经转移到靖江路这一带
目前
靖江中路一带
承担着明确的商业集聚和行政功能
老城区
更倾向于保留开发人文历史风貌
新城区
则拓展教育、经济、人居、医疗、交通等复合作用
伏龙板块
则为产业以及临海城区未来的发展预留了空间
毫无疑问
临海市目前商业最繁华的地方
大概就是地块所在的靖江路这一带
该地段开发时间早,成熟度极高
不仅是进入临海的重要门户之一
更是临海城区三大板块的交接汇聚之处
周围综合体、学校、小区、医院、行政单位密布
配套齐全,生活便利,人气旺,居住氛围浓郁
时代总是在向前发展
陈旧的设施被全新的替代
也表示临海正在努力发展中
自定义html广告位